生核劑

生核劑的作用機理
1.α-SiC結晶體冶金級SiC本身作為一種硅基生核劑,熔點高達2700℃.在鐵液中不熔化,只能按下列反應式融熔于鐵液。SiC+Fe→FeSi+C(非平衡石墨)式中SiC中的Si與Fe結合,余下的C即是非平衡石墨。非平衡石墨使鐵液中C不均勻分布,微區會出現“碳峰”,這種新生的石墨很有活性,更與石墨的晶格失配度為零,故碳原子直接在其上沉積析出,激活鐵水形核機制。
2.通過添加其它稀土元素。與鐵液中的化學元素發生反應,生成1-3um左右的微小質點,這些微小而均勻的懸浮質點符合石墨結晶底襯的基本要素,凝固時成為結晶核心。對于灰鑄鐵可以促進片狀石墨的析出,細化石墨晶粒。對于球墨鑄鐵能較大幅度提高鑄件的石墨球數(如石墨球數從200個/ mm2提升到300個/mm2甚至更多),提高石墨的圓整度。
生核劑規格簡介:
| 序號 | C | Si | Al | H2O | 顆粒度 | 復合元素 | |
| 1 | 25-30% | 60-65% | ≤0.5% | ≤0.5% | 0.5-5mm | 3.00% | |
| 2 | 28-32% | 68-72% | ≤0.5% | ≤0.5% | 0.5-5mm | 1.00% | |
生核劑的使用方法
1.計算方法:
以序號1系列生核劑為例:Si:63% C:27% Re:3%
一噸鐵水,生核劑加入量為1%,即加入量為10公斤,其中Si和C的吸收率初次計算為95%, 以后根據實際的吸收率進行校正,一般吸收率可達95%以上,鐵水中增加的Si和C的質量分數分別為:
Si增百分數=1%×63%×95%=0.6%
C增百分數= 1%×27%×95%=0.26%
2.加入方法:
1)在正常生產過程中,生核劑產品的加入方法和增碳劑大體相當,待電爐內鐵液熔化約1/3時,放在中頻電爐的中下部即可。
2)冷爐啟動時,先將電爐中的1/3至1/2的爐料熔化,把生核劑按計算量加入,再將余下的爐料加入熔煉。
注意事項:
①加入生核劑產品,可以促進鐵素體的析出。故添加量增加時,可適當下調CE值。
②應盡量避免同鐵屑一起加入,以防生核劑與其它材料結塊影響吸收;
③在保證生核劑可以被鐵液充分融解前提下,加入時機越靠后效果越好
生核劑包裝:
25Kg/子袋
1000Kg/噸袋
生核劑產品使用效果
對于灰鑄鐵
![]() | ![]() |
| 使用前異型石墨為主 | 使用后A型石墨為主 |
1)因其脫氧效果,消除鐵液的氧化因素,減少爐襯氧化,延長爐襯壽命10%—30%。
2)促進共晶凝固階段C大量析出并形成石墨,促進石墨化。增加灰鑄鐵石墨數量。
3)促進形成A型石墨,減少產生B型、D型石墨。減少了初生奧氏體的過冷度,消除了E型石墨產生的結構基礎。
4)降低了鐵液過冷度、降低白口傾向。減少鐵液縮松傾向。
5)具有強力的脫氧作用,凈化鐵水,減少夾渣和氣孔缺陷。
6) 解決電爐鐵水高溫靜置的負面影響,增強石墨形核能力和增加石墨核心,有效解決孕育衰退,具有促進和穩定形核的作用,緩解鐵水長時間高溫靜置時石墨核心的消融,能夠有效的補償損失的石墨核心,從而改善鐵水的整體冶金質量。
7)因基體組織更加均勻、白口傾向減小,鑄件的加工性能提升明顯,據數據統計,加入前后對比在切削過程中可降低刀具磨損25%以上
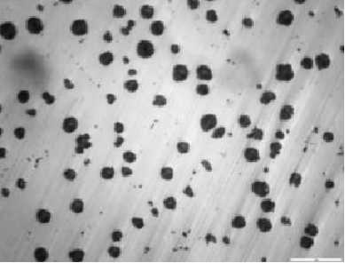
對于球墨鑄鐵
![]() | ![]() |
| 使用前球化率90% | 使用后球化率95% |
1)因其脫氧效果,消除鐵液的氧化因素,減少爐襯氧化,延長爐襯壽命10%—30%
2)提高Mg的吸收率,球化劑的加入量可以減少10%,
3)大幅度增加石墨球數量,提高石墨圓整度。細化石墨球。
4)促進析出鐵素體,減少鑄件縮松傾向。降低球墨鑄鐵的白口傾向。
5)具有強力的脫氧作用,凈化鐵水,減少夾渣和氣孔缺陷
6)解決電爐鐵水高溫靜置的負面影響,增強石墨形核能力和增加石墨核心,有效解決孕育衰退,具有促進和穩定形核的作用,緩解鐵水長時間高溫靜置時石墨核心的消融,能夠有效的補償損失的石墨核心,從而改善鐵水的整體冶金質量。
7)因基體組織更加均勻、白口傾向減小,鑄件的加工性能提升明顯,據數據統計,加入前后對比在切削過程中可降低刀具磨損20%以上
綜上所述,生核劑在現在鑄鐵冶煉過程中加入,無論對于灰鑄鐵還是球墨鑄鐵都具有很好的優化作用,隨著鑄造工業技術的不斷進步與發展,也越來越多的被鑄造企業了解和接受。而在廢鋼熔煉生產工藝中,生核劑產品作用更為突出。部分臺資,日資,歐美企業更因為堅定合成鑄鐵工藝,選擇生核劑產品作為主要添加材。



